Date published
December 23 2020
PDF upload
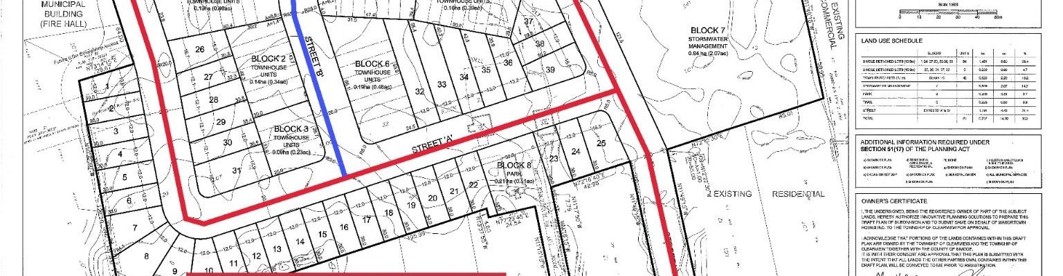
Please be advised that the Township of Clearview has received a request to consider “Manor Drive” & “Ferguson Way” as the names for two (2) new public roads. The subject public roads are situated within the proposed Manortown Homes Inc. Subdivision. The lands are located within the eastern portion of the Stayner Settlement Area, east of the Municipal Emergency Hub Facility lands.
For more information, please contact:
Nick Ainley, Community Planner
nainley@clearview.ca
Map showing the subject public roads.

